Na prodej  Spiknutí Sofia , Slatina , 3199 m2 | 90292903
7 obrázky

Na prodej Spiknutí в Sofia, Slatina, 3199 m2

799 750
1 564 175,04 лв.
DPH se neúčtuje
Plocha: 3199 m2Patro Typ stavby
Nařízení: -Elektřina: ANOVoda: ANO
Popis nemovitosti:
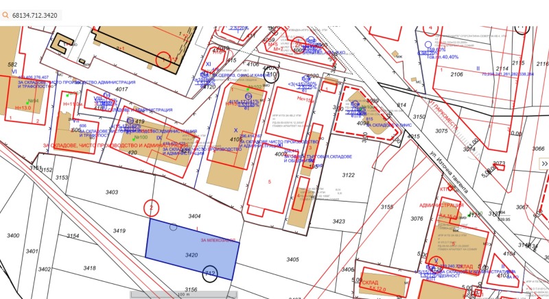
- Поземлен имот за продажба намиращ се в местността ' Средното ' , в близост до Летище София , Митница Аерогара София , DHL Експрес България , Луфтханза , на около ~ 200 м. от бул. ' Източна тангента ' и на около ~ 300 м. от бул. ' Брюксел '.

- Имотът се състои от / 3199 кв.м. / площ и попада в устройствена зона ПМС / Зона за производства и услуги / позволяваща застрояване с производствени , складови , административни , търговски и обслужващи сгради и съоражения , работилници и други. Възможност за закупуване и обединяване със съседни поземлени имоти , със сходни характеристики и продажни цени.

- Повече информация , уговорки относно огледи , както професионално съдействие за кредитиране от лицензирания ни финансов консултант , на тел . : 0877 613 094
Funkce:
  • Vízum
  • Kompenzace
Na prodej  Spiknutí Sofia , Slatina , 3199 m2 | 90292903 - obraz [2]
Na prodej  Spiknutí Sofia , Slatina , 3199 m2 | 90292903 - obraz [3]
Na prodej  Spiknutí Sofia , Slatina , 3199 m2 | 90292903 - obraz [4]
Na prodej  Spiknutí Sofia , Slatina , 3199 m2 | 90292903 - obraz [5]Viz dále 3 obrázky
Cena

Cena nemovitosti: 799 750 €

1 564 175,04 лв.

Cena na m2: 250 €

488,96 лв. na m2

Přihlaste se k odběru upozornění na změnu ceny
Umístění

Sofia, Slatina

Statistika
  • 35pohledy
  • 0šetří
Inzerát byl zveřejněn dne 12 říjen 2025
Kontaktovat prodejce
0877 XXX... (ukázat)

EKSPERT ESTEJT GRUP
Sofia Oborište, ul. Aleko Konstantinov 32
Na prodej Spiknutí в Sofia, Slatina, 3199 m2
799 750 €
3199 m2