Te koop  Verhaallijn Sofia , Bankja , 3201 m² | 82336746
3 afbeeldingen

Te koop Verhaallijn в Sofia, Bankja, 3201 m²

160 050
313 030,59 лв.
BTW is inbegrepen
Oppervlakte: 3201 m²Verdieping Bouwtype
Regulatie: -Elektriciteit: -Water: NEE
Eigenschap Beschrijving:
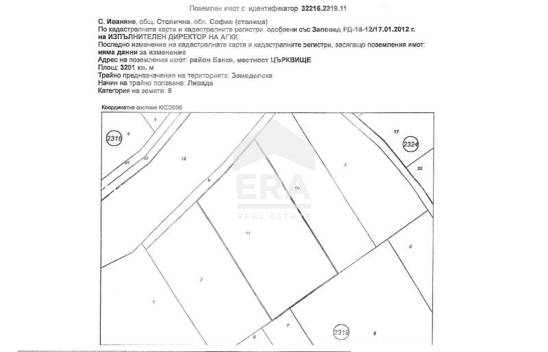
ЕРА Надежда продава поземелен имот със статут на земеделска земя в р-н Банкя, м. ЦЪРКВИЩЕ.
Площ 3201 кв.м, Категория 6
Има възможност за промяна на статута и да се урегулира в зона за обществено обслужване с параметри: плътност 20% и КИНТ 0,8

Оферта 3304203
Te koop  Verhaallijn Sofia , Bankja , 3201 m² | 82336746 - afbeelding [2]
Te koop  Verhaallijn Sofia , Bankja , 3201 m² | 82336746 - afbeelding [3]
Prijs

Vastgoedprijs: 160 050 €

313 030,59 лв.

Prijs op m²: 50 €

97,79 лв. op m²

Abonneer mij op meldingen over prijswijzigingen
Plaats

Sofia, Bankja

Statistieken
  • 62keer bekeken
  • 0bespaart
De advertentie is gepubliceerd op 25 september 2025
Neem contact op met de verkoper
087XXX... (show)
Tussenpersoon
//photos.imoti.info/assets/images/brokerspicts/16220148255199840.webp
Petja Michajlova
0877 878 879

ERA NADEZJDA
Sofia zj.k Nadezjda 1, bl. 172, vch. B, parter
Te koop Verhaallijn в Sofia, Bankja, 3201 m²
160 050 €
3201 m²
call20877878879