Satılık  Komplo Varna , m-t Dobreva çeşma , 11000 metrekare | 26162775
17 resimler

Satılık Komplo в Varna, m-t Dobreva çeşma, 11000 metrekare

103 400
202 232,82 лв.
KDV alınmaz
Alan: 11000 metrekareKat İnşaat türü
Düzenleme: EVETElektrik: -Su: -
Mülk Açıklaması:
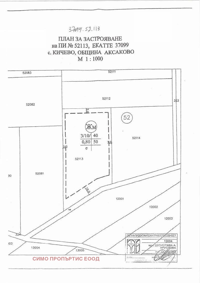
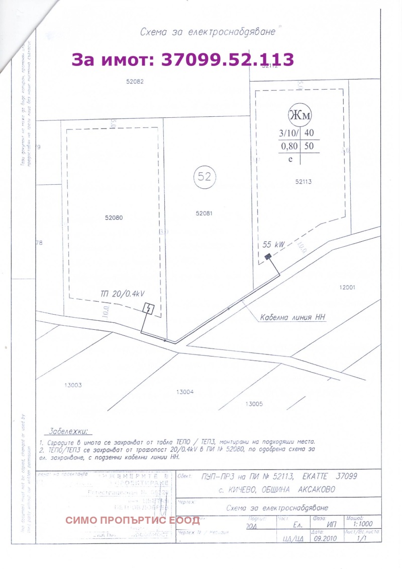
Продават се два имота с много добра гледка към морето с обща площ 11000 кв.м.. Имотите административно се намира в землището на с. Кичево, над м-т 'Добрева чешма' - кв. Виница -гр. Варна. Имотите са предназначен за жилищно строителство. Имат изтекъл ПУП! Попадат в градоустройствена зона 'Жм' с показатели на застрояване:
КИНТ 0,8
Плътност 40%
кота корниз до 10 метра, до три етажа.
Имотите са правилна форма. Намират се през един имот. Подходящи са за изграждане на комплекс от къщи, по-големи имения, вили и др.. Намират се на около 500 метра от най-близките къщи и съществуващ път. Овен за собствено ползване тези имоти са много подходящ и за инвестиционни цели поради развитието и засиления интерес в района. Единият имот в с квадратура от 6000 кв.м., а вторият имот е с квадратура 5000 кв.м. И двата имота са с един и същи статут, в регулация с изтекъл ПУП и градоустройствени параметри и показатели на застрояване! Могат да бъдат купени заедно и двата имота и по отделно на същата цена на квадратен метър. Прилагаме в снимките част от документацията за регулацията на имотите и ПУП-овете. Запознати сме с цялата история от придобиването на собствеността на имотите, управлението им през годините и сегашния им статут и ситуация. Агенцията ни се намира в пряк контакт със собственика. Агенцията ни разполага с ИЗКЛЮЧИТЕЛНИТЕ ПРАВА, за продажба на имотите и бихме могли да договорим добри и гъвкави условия за сделка.
БЛАГОДАРИМ ВИ, ЧЕ ОТДЕЛИХТЕ ВРЕМЕ ЗА ТАЗИ ОБЯВА! ЩЕ СЕ РАДВАМЕ ДА СТАНЕТЕ НАШИ КЛИЕНТИ! БЪДЕТЕ ЗДРАВИ!
За допълнителна информация и огледи: 0889 498 882 Самуил Желев
Özellikler:
  • Konut inşaatı için
Satılık  Komplo Varna , m-t Dobreva çeşma , 11000 metrekare | 26162775 - görüntü [2]
Satılık  Komplo Varna , m-t Dobreva çeşma , 11000 metrekare | 26162775 - görüntü [3]
Satılık  Komplo Varna , m-t Dobreva çeşma , 11000 metrekare | 26162775 - görüntü [4]
Satılık  Komplo Varna , m-t Dobreva çeşma , 11000 metrekare | 26162775 - görüntü [5]Sonrakini göster 13 resimler
Fiyat

Emlak fiyatı: 103 400 €

202 232,82 лв.

Fiyat Açık metrekare: 9,4 €

18,38 лв. Açık metrekare

Fiyat değişikliği bildirimleri için bana abone olun
Konum

Varna, m-t Dobreva çeşma

İstatistik
  • 29Görüntüleme
  • 0kaydeder
Reklam şu tarihte yayınlandı: 11 Ekim 2025
Satıcıyla iletişime geç
088XXX... (göstermek)
Ajan
//photos.imoti.info/assets/images/brokerspicts/16388638501354093.webp
Samuil Jelev
0889498882 , 02/444 99 29

SIMO PROPARTIS EOOD
Sofia ul. Tri uşi 1, et. 2, ofis 6, EIK 206717441
Satılık Komplo в Varna, m-t Dobreva çeşma, 11000 metrekare
103 400 €
11000 metrekare
call20889498882