Продава  Парцел град София , в.з.Бункера , 996 кв.м | 50275117
9 снимки

Продава Парцел в град София, в.з.Бункера, 996 кв.м

639 878
1 251 492,59 лв.
Не се начислява ДДС
Квадратура: 996 кв.мЕтаж: Вид строителство:
Регулация: ДАТок: ДАВода: ДА
Описание на имота:
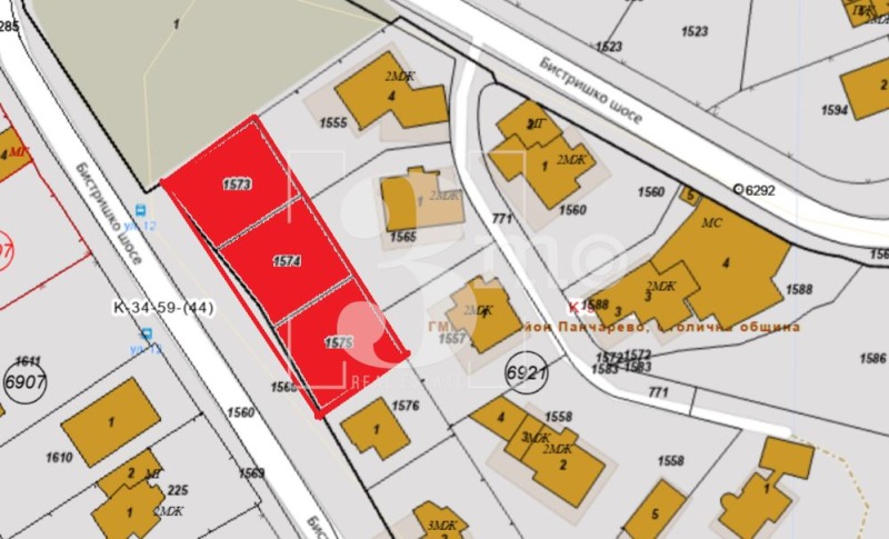
3mo недвижими имоти предлага на Вашето внимание уникална възможност за инвестиция в парцел, разположен на Бистришко шосе.

Предлаганият уникален проект включва три самостоятелни УПИ-та, идеални за изграждане на индивидуални къщи с площ от по 332 кв.м. Една от къщите вече е на етап груб строеж . Имотът е разположен на самото Бистришко шосе и предлага невероятна панорамна гледка към София. Проектът е подходящ за затворен комплекс или индивидуални къщи според желанията на собствениците. Имотът разполага с ток, вода и изградена подпорна стена. Всяка къща има осигурено паркомясто, а пред комплекса е предвиден паркинг за бъдещите обитатели.

Не се колебайте да се свържете с нас за повече информация!

Оферта 2081
Особености:
  • Виза
Продава  Парцел град София , в.з.Бункера , 996 кв.м | 50275117 - изображение [2]
Продава  Парцел град София , в.з.Бункера , 996 кв.м | 50275117 - изображение [3]
Продава  Парцел град София , в.з.Бункера , 996 кв.м | 50275117 - изображение [4]
Продава  Парцел град София , в.з.Бункера , 996 кв.м | 50275117 - изображение [5]Виж следващите 5 снимки
Цена

Цена на имота: 639 878 €

1 251 492,59 лв.

Цена на кв.м: 642,448 €

1 256,52 лв. на кв.м

Абонирай ме за известия за промяна в цената
Локация

град София, в.з.Бункера

Статистика
  • 27разглеждания
  • 0добавяния в Бележника
Обявата е публикувана на 13 октомври 2025
Попитай продавача
089XXX... (покажи)

3-МО ОФИС ДРУЖБА
град София София, Дружба
Продава Парцел в град София, в.з.Бункера, 996 кв.м
639 878 €
996 кв.м
call20895885842